Goðanes 1B
01-0101 · 603 Akureyri



56 dagar á sölu
63.900.000 kr
445.607 kr/m²
Kasa fasteignir 461-2010.
Goðanes 1 bil 101 - Glæsilegt nýlegt 143,3 fm iðnaðarbil á tveimur hæðum í suður enda við Goðanes 1.
Bilið er á tveimur hæðum, góður stigi er á milli hæða og salerni undir stiga á neðrihæð. Búið er að útbúa skrifstofur á efrihæð, einnig er gert er ráð fyrir eldhúsinnréttingu og starfsmanna baðherbergi með sturtu á efrihæðinni. Gengið er út á vestursvalir af efrihæðinni. Hæðin er parketlögð með hvítum innihurðum.
Neðri hæðin er skráð 73,7 fm að stærð og er um 12 metrar á dýpt og um 5,9 metrar á breidd. Hæð upp í milliloft er ca 3,3 metrar.
Efri hæðin er skráð 69,7 fm að stærð.
- Gólfhiti er á neðrihæð og ofnar á efrihæð.
- Upphengt salerni og handlaug með vaskaskáp á neðrihæð.
- Rafdrifin innkeyrsluhurð með fjarstýringu.
- Tré-Ál gluggar og inngöngu hurðir.
- Vestur svalir um 7,5 fm með handriði.
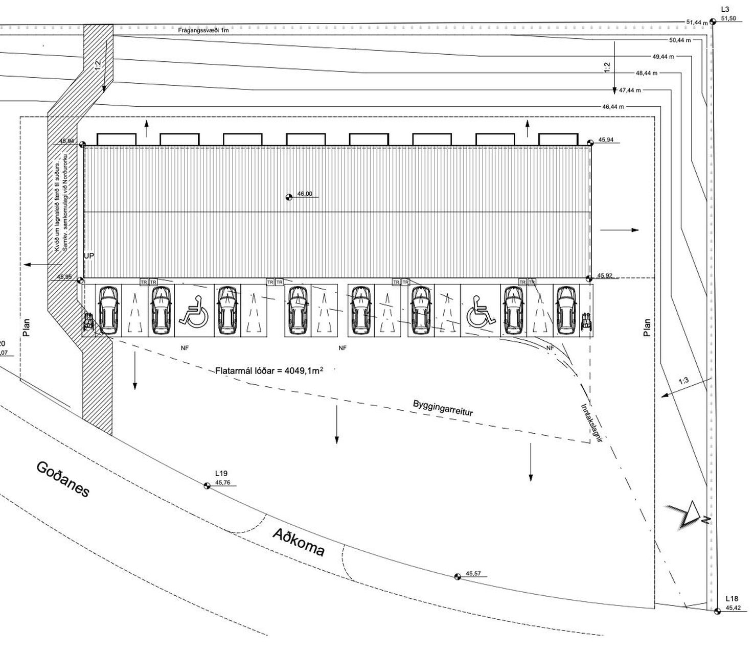
- 6x6m snjóbræðsla fyrir framan hvert bil.
- Plan er malbikað.
- Á bílaplani er sér merkt auka stæði fyrir hvern eignarhluta, um 30 fm hvert stæði.
- Á eigninni kvílir vsk kvöð.
Nánari upplýsingar í síma 461-2010 eða kasa@kasafasteignir.is
------------
Skoðunarskylda:
Í lögum um fasteignakaup nr. 40/2002 er kveðið á um ríka skoðunarskyldu kaupenda á fasteignum. Kasa fasteignir benda væntanlegum kaupendum á að kynna sér vel ástand fasteigna fyrir kauptilboðsgerð og leita til þar til bærra sérfræðinga um nánari skoðun ef þurfa þykir.
Forsendur söluyfirlits:
Söluyfirlit er samið af fasteignasala í samræmi við ákvæði laga nr. 70/2015. Þær upplýsingar sem fram koma í söluyfirliti þessu eru sóttar í opinberar skrár, til seljanda sjálfs og eftir atvikum til húsfélags. Seljandi veitir upplýsingar um eign í samræmi við upplýsingaskyldu laga um fasteignakaup nr. 40/2002. Fasteignasali sannreynir að þær upplýsingar séu réttar með sjónskoðun á eigninni. Fasteignasali getur ekki fullyrt um ástand og eiginleika þeirra hluta fasteigna sem ekki eru aðgengilegir og sjást ekki berum augum, t.d. lagnir, dren, skólp og þak.
Gjöld sem kaupandi þarf að standa straum af vegna kaupanna:
1. Stimpilgjald sýslumanns af kaupsamningi, fyrstu kaup (0,4%), almenn kaup (0,8%), lögaðilar (1,6%) af heildarfasteignamati eignar.
2. Þinglýsingargjald af kaupsamningi, veðskuldabréfi, mögulegu veðleyfi o.fl. - kr. 2.700 af hverju skjali.
3. Lántökugjald lánastofnunar er skv. verðskrá viðkomandi lánastofnunar. Nánari upplýsingar á t.d. heimasíðu lánastofnana.
4. Umsýslugjald til fasteignasölu skv. kauptilboði.

Fáðu nýja innsýn á Húsasjá
- Verðmat fasteignar
- Sölusaga og verðþróun
- Samanburður sambærilegra eigna

















