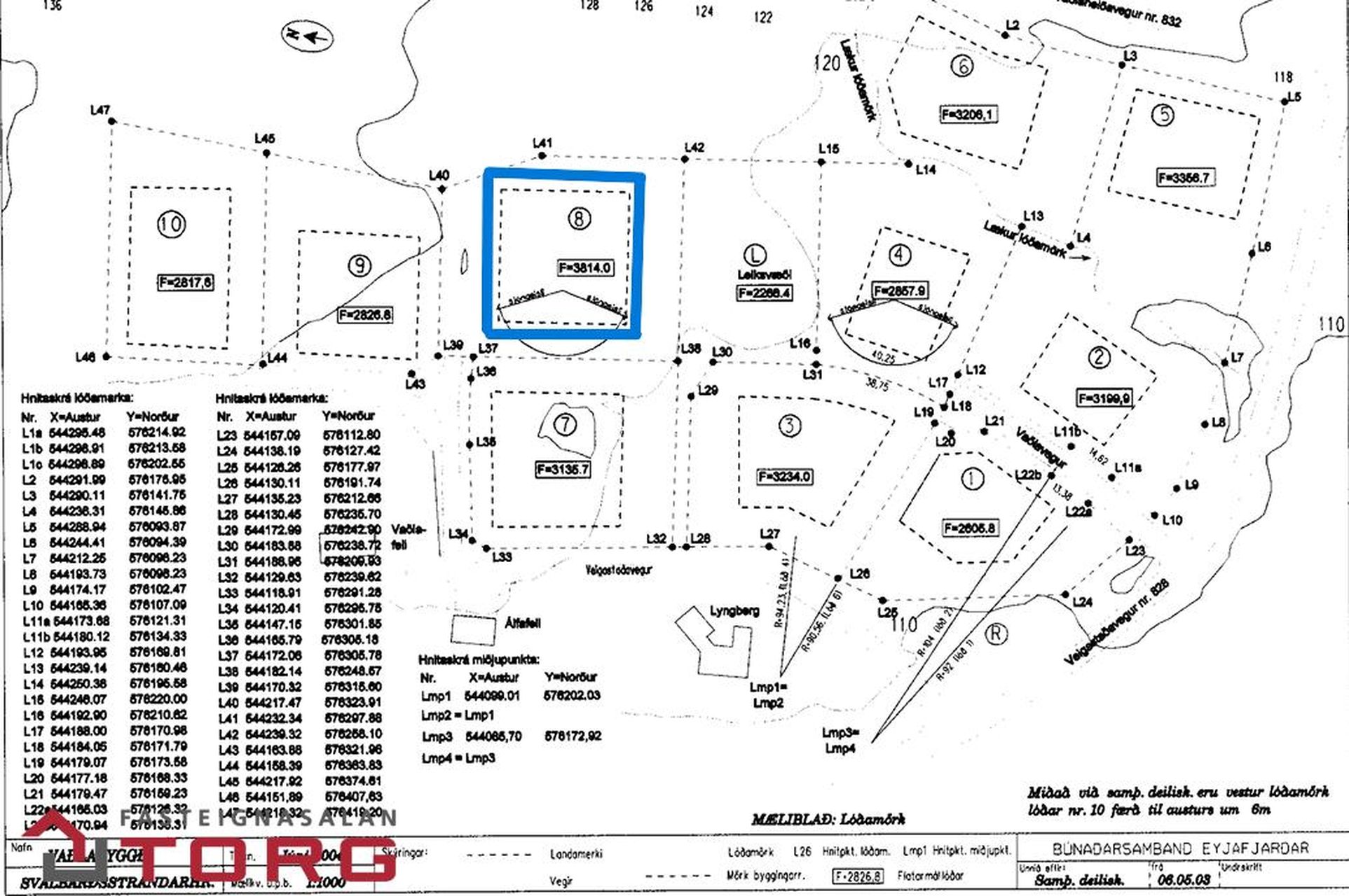
Vaðlabyggð 8
Lóð · 606 Akureyri



333 dagar á sölu
17.500.000 kr
4.588 kr/m²
***EINSTAKT TÆKIFÆRI***
Fasteignasalan Torg og Svavar Friðriksson, löggiltur fasteignasali kynna: Vaðlabyggð númer 8 - 3814m2 Íbúðarhúsalóð á þessum eftirsótta stað á Svalbarðshreppi. Um er að ræða eignarlóð. Stórbrotið útsýni! Stutt í skóla og leikskóla ásamt annarri þjónustu. Eingöngu 5 mínútna akstur yfir til Akureyrar. Fasteignanúmer lóðarinnar er 233-8996 og landeignanúmer er 198562. Allar nánari upplýsingar veitir Svavar Friðriksson, löggiltur fasteignasali í síma 623-1717 - svavar@fstorg.is. Bókaðu einnig frítt verðmat fyrir þína fasteign!
Gjöld sem kaupandi þarf að standa straum af vegna kaupa á fasteign:
1. Stimpilgjald af fasteignamati fasteignar er 0.8%, en 0,4% fyrir fyrstu kaup og 1,6% fyrir lögaðila.
2. Þinglýsingargjald: kaupsamningi, skuldabréfi, veðleyfi, afsali o.s.frv. er kr. 2.500 af hverju skjali.
3. Lántökukostnaður samkvæmt verðskrá viðkomandi lánastofnunar.
4. Umsýslugjald til fasteignasölu skv. gjaldskrá.
5. Kaupandi eignarinnar greiðir skipulagsgjald þegar það verður lagt sem er 0,3% af endanlegu brunabótamati eignarinnar.
Skoðunarskylda kaupanda:
Í lögum um fasteignakaup nr. 40/2002 er kveðið á um ríka skoðunarskyldu kaupenda á fasteignum. Fasteignasala bendir væntanlegum kaupendum á að kynna sér vel ástand fasteigna við skoðun og fyrir tilboðsgerð og ef þurfa þykir að leita til sérfræðinga um nánari ástandsskoðun.
Forsendur söluyfirlits:
Söluyfirlit er samið af fasteignasala í samræmi við ákvæði laga nr. 70/2015. Þær upplýsingar sem fram koma
í söluyfirliti þessu eru sóttar í opinberar skrár, til seljanda sjálfs og eftir atvikum til húsfélags.
Seljandi veitir upplýsingar um eign í samræmi við upplýsingaskyldu laga um fasteignakaup nr. 40/2002.
Fasteignasali sannreynir að þær upplýsingar séu réttar með sjónskoðun á eigninni.
Fasteignasali getur ekki fullyrt um ástand og eiginleika þeirra.

Fáðu nýja innsýn á Húsasjá
- Verðmat fasteignar
- Sölusaga og verðþróun
- Samanburður sambærilegra eigna







