Klettatröð 6B
01-0101 · 262 Reykjanesbæ



344 dagar á sölu
84.900.000 kr
333.203 kr/m²
Sunna fasteignasala ehf. og Marta Jónsdóttir, lögfr. og lfs., kynna iðnaðar- og atvinnuhúsnæði við Klettatröð 6b á Ásbrú, Reykjanesbæ.
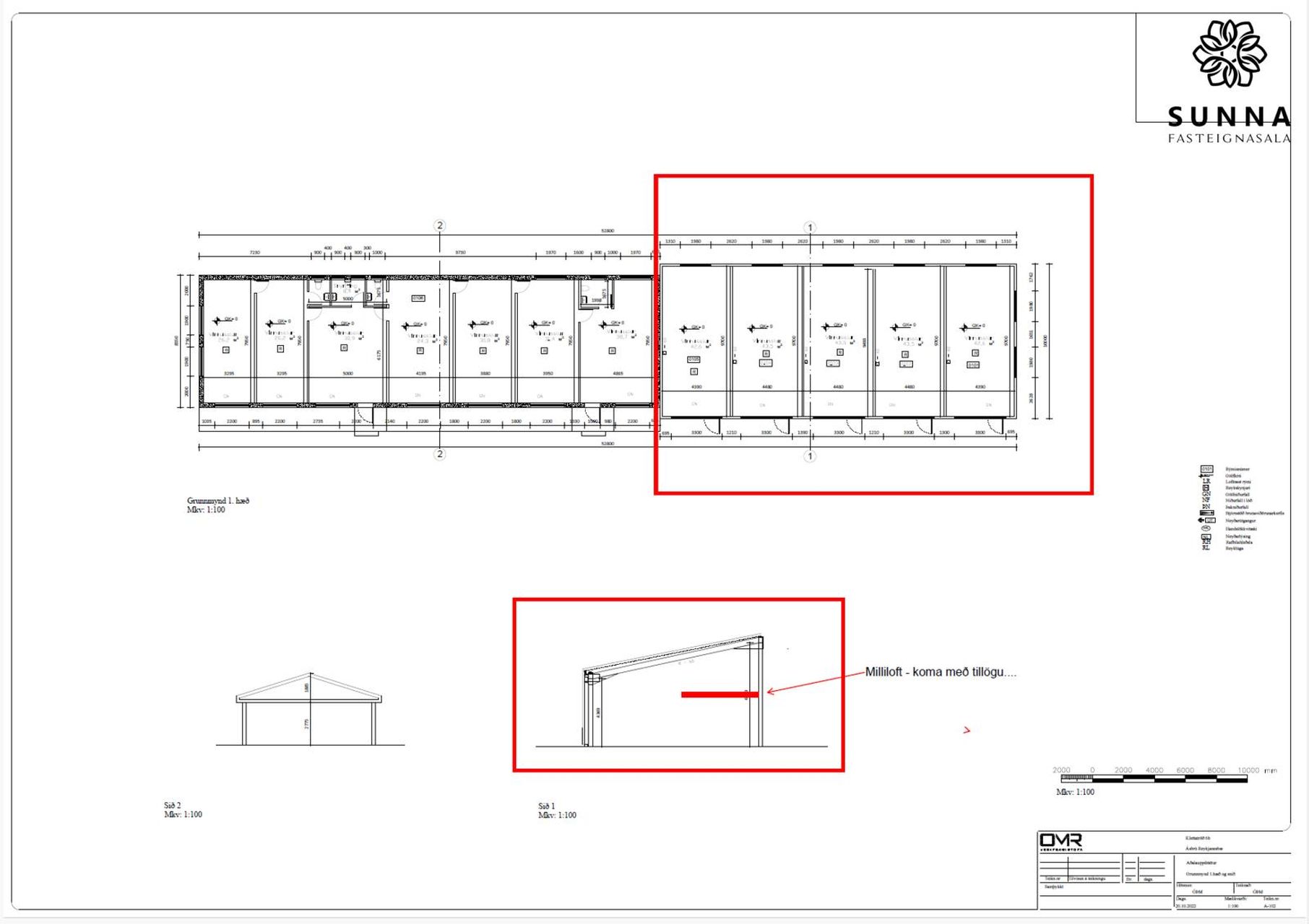
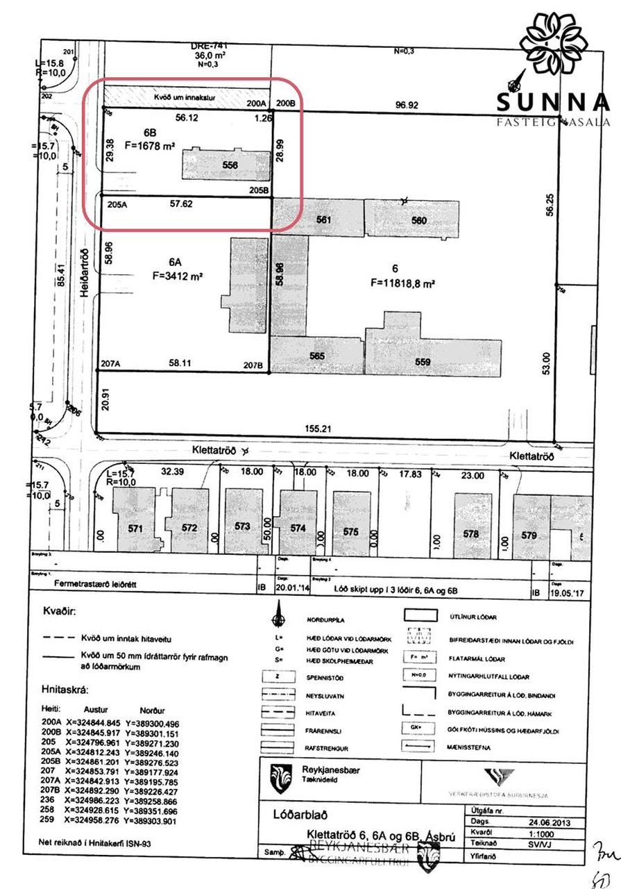
Um er að ræða steypta 255 fm eign sem stendur stök á 1678 fm leigulóð. Húsið var byggt árið 1990 og er því skipt niður í tvö aðskilin rými. Á öðru rýminu eru þrjár nýjar innkeyrsluhurðar en það skiptist í fjögur herbergi og salerni. Hitt rýmið skiptist í forstofu, gang, rúmgott herbergi ásamt salerni, og tvo stóra sali en annar þeirra er með hreingerningaraðstöðu. Nýjar útidyr eru á báðum rýmum.
Fyrir framan húsið er stórt malbikað bílaplan. Eignin er nýmáluð að utanverðu.
*Eignin býður upp á mikla möguleika en hægt er að hólfa eignina mun meira niður eða opna hana alveg upp. Útbúnar hafa verið teikningar sem sýna mögulega útfærslu á eigninni (sjá myndir). En heimilt er að byggja alls 503 fm á lóðinni.
Leyfilegt nýtingarhlutfall lóðar er 0,3, samkvæmt gildandi deiliskipulagi. Samþykki Reykjanesbæjar liggur fyrir vegna byggingaráforma um stækkun upp á 250 fm.
**Einnig er hægt að skipta lóðinni upp ef vilji er fyrir því.
***Seljandi íhugar að taka iðnaðarbil á Suðurnesjum upp í hluta kaupverðs.
Nánari upplýsingar veitir Marta Jónsdóttir, lögfr. og lfs. í síma 8633445 og netfanginu marta@sunnafast.is.
Um skoðunar- og aðgæsluskyldu:
Í lögum um fasteignakaup nr. 40/2002 er kveðið á um ríka skoðunarskyldu kaupenda á fasteignum. Sunna fasteignasala ehf. bendir væntanlegum kaupendum á að kynna sér vel ástand fasteigna við skoðun og fyrir tilboðsgerð og ef þurfa þykir að leita til sérfræðinga um nánari ástandsskoðun.
Forsendur söluyfirlits:
Söluyfirlit er samið af fasteignasala í samræmi við ákvæði laga nr. 70/2015. Þær upplýsingar sem fram koma í söluyfirliti eru sóttar í opinberar skrár, til seljanda sjálfs og eftir atvikum til húsfélags. Seljandi veitir upplýsingar um eign í samræmi við upplýsingaskyldu laga um fasteignakaup nr. 40/2002. Fasteignasali sannreynir að þær upplýsingar séu réttar með sjónskoðun á eigninni. Fasteignasali getur ekki fullyrt um ástand og eiginleika þeirra hluta fasteigna sem ekki eru aðgengilegir og sjást ekki berum augum, t.d. lagnir, dren, skólp og þak.
Gjöld sem kaupandi þarf að standa straum af vegna kaupanna:
Stimpilgjald af kaupsamningi sem er hlutfall af fasteignamati. Stimpilgjald er 0,8% fyrir einstaklinga (0,4% við fyrstu kaup m.v. að lágmarki 50% eignarhlut) og 1,6% fyrir lögaðila.
Þinglýsingargjald af kaupsamningi, veðskuldabréfum, veðleyfum o.fl. Þinglýsingargjald er kr. 2.700,- fyrir hvert skjal.
Lántökugjald lánastofnunar. Um lántökugjald vísast í gjaldskrá viðkomandi lánveitanda.
Umsýsluþóknun fasteignasölu skv. gjaldskrá.
Ef um nýbyggingu er að ræða greiðir kaupandi skipulagsgjald, 0,3% af brunabótamati, þegar það er lagt á.

Dýpri greining á Húsasjá
- Verðmat fasteignar
- Sölusaga og verðþróun
- Samanburður sambærilegra eigna




